간만에 찾아왔네요.. 충북권 소류지...
간만에 찾아왔네요.. 충북권 소류지...
자동빵의 제왕 홍연님 (미소컴)..
제방 초입에 살림을 차립니다...
저는 제방 끝에 앉습니다.. 그래봤자 둘의 거리는 20m..

대 까는도중에 한마리 차고나가서 터쳤다고..
옆 진상님이 육두문자를 얼큰하게 날려대고 있네요.^^
자동빵의 제왕 홍연님 (미소컴)..
제방 초입에 살림을 차립니다...
저는 제방 끝에 앉습니다.. 그래봤자 둘의 거리는 20m..

대 까는도중에 한마리 차고나가서 터쳤다고..
옆 진상님이 육두문자를 얼큰하게 날려대고 있네요.^^
홍연님.. 저녁을 먹고오니.. 역시나.. 자동빵으로 개시 하네요 아홉치로...^^
저는 총알만 두방 맞았네요... 닝기리... - -;;
케미 꺽고.. 본격적으로다가 들이대봅니다...^^

옆에서는 삼십분에 한번씩 후드러까는 소리가 들리는데.. 아주 짜증 이빠이네요... - -;;
저는.. 말뚝찌 구경 삼매에 푹 빠져듭니다~~~
홍연님.. 저녁을 먹고오니.. 역시나.. 자동빵으로 개시 하네요 아홉치로...^^
저는 총알만 두방 맞았네요... 닝기리... - -;;
케미 꺽고.. 본격적으로다가 들이대봅니다...^^

옆에서는 삼십분에 한번씩 후드러까는 소리가 들리는데.. 아주 짜증 이빠이네요... - -;;
저는.. 말뚝찌 구경 삼매에 푹 빠져듭니다~~~
입질도 뜸해진 자정무렵.. 고기나 궈서 막걸리 한사발 먹기로 합니다..
입질도 뜸해진 자정무렵.. 고기나 궈서 막걸리 한사발 먹기로 합니다..
아니 근데... 이런 염병을 할~~~
숭악한 양이놈이.. 저거 한통을 다 쳐먹었네요...
으이그~~~ 할 수없이 라면으로 대신 합니다... - -;;
아니 근데... 이런 염병을 할~~~
숭악한 양이놈이.. 저거 한통을 다 쳐먹었네요...
으이그~~~ 할 수없이 라면으로 대신 합니다... - -;;
그렇게.. 아침은 밝아오고...
그렇게.. 아침은 밝아오고...
으름이 지천입니다..
으름이 지천입니다..



귀요미.....^^



귀요미.....^^



홍연님의 자리는 여전히.. 짜증나는 소리를 선사하네요...
잽싸게 옆으로 바싹 옮겨보지만.. 이미..... - -;;



홍연님의 자리는 여전히.. 짜증나는 소리를 선사하네요...
잽싸게 옆으로 바싹 옮겨보지만.. 이미..... - -;;
그런와중에.. 박프로 진상님이 찾아와서 찌 옆에다 짱돌 폭탄을 투하 합니다...
이런 씨앙... 낚시끝~~~
그런와중에.. 박프로 진상님이 찾아와서 찌 옆에다 짱돌 폭탄을 투하 합니다...
이런 씨앙... 낚시끝~~~



홍연님.. 아홉치급 8수~~~



홍연님.. 아홉치급 8수~~~
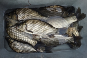
방생전.. 단체사진 한방...
방생전.. 단체사진 한방...
박프로 진상대왕님..
박프로 진상대왕님..
어딜가나 덜떨어진 놈이 있네요... 뒤늦게 기겁을 하고 튑니다...
어딜가나 덜떨어진 놈이 있네요... 뒤늦게 기겁을 하고 튑니다...
대박과 쪽박사이.....
대박과 쪽박사이.....